Beneficiarios realizaron estudio comparativo de las tierras del canje y un proyecto de loteo en el Parque Industrial

Forma parte de la documentación que adjuntaron con la denuncia en la fiscalía. El trabajo fue encargado por la comisión de beneficiarios a un profesional. Propone 430 lotes en un sector del Parque Industrial, utilizando el 60% del terreno. El proyecto completo.
06/07/2015
Beneficiarios realizaron estudio comparativo de las tierras del canje y un proyecto de loteo en el Parque Industrial
Beneficiarios realizaron estudio comparativo de las tierras del canje y un proyecto de loteo en el Parque Industrial

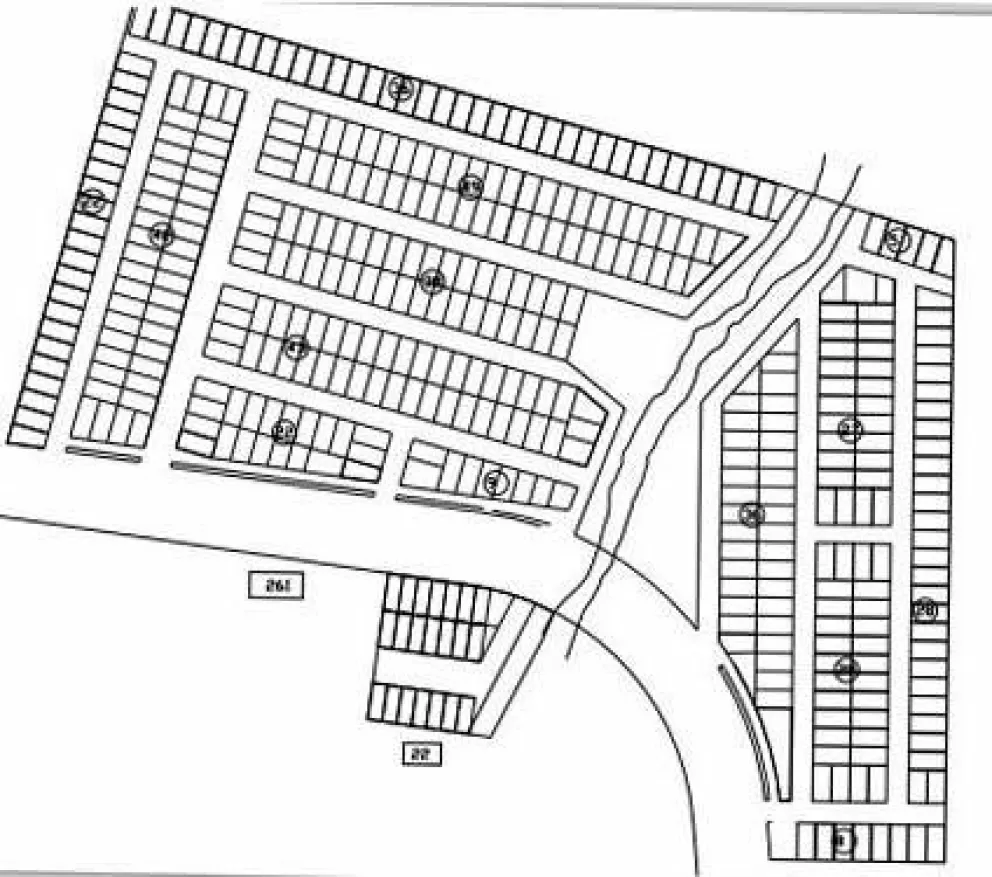
CLIC EN LA IMAGEN PARA AMPLIAR
Entre la documentación que acompañó la denuncia radicada en la fiscalía, los adjudicatarios de los 430 lotes  entregaron un informe técnico elaborado por un profesional con la comparación del proyecto del Ejecutivo -que les fue entregado a los vecinos semanas atrás junto con la copia del expediente- y el proyecto del loteo en el Parque Industrial.

En líneas generales, mientras que en las tierras del canje entrarían sólo 263 lotes de 130m2 -según el proyecto presentado por el Municipio-, en el Parque Industrial podrían entrar 430 lotes de 300m2 destinando sólo el 61% del terreno al loteo, y el 39% a circulación vial, espacio verde y reserva fiscal.

Asimismo, mientras que en ese proyecto la relación superficie total de terreno por lote es de casi 500m2, en el caso de las tierras del canje la relación es de 245m2.

Aquí el proyecto completo:

DESCARGAR PROYECTO EN FORMATO PDF

1 INTRODUCCIÓN

El convenio de permuta entre la Municipalidad de Villa la Angostura y el privado, puso en tela de juicio, si la aprobación del mismo sería beneficioso tanto para la Municipalidad como para los adjudicatarios, beneficiarios de obtener dichas tierras. Sobre la base de las dudas de los adjudicatarios, como así también de la inspección ocular realizada por los mismos el día domingo 13 de junio de 2015, se realiza el presente informe que sobre las características de todos los lotes que ingresan al convenio.

2 OBJETIVOS GENERALES:

Después de la exposición realizada en el apartado anterior, podemos establecer que el objetivo de este informe, consistente en proporcionar información de forma conceptual, como especificaciones e instrucciones técnicas y legales que determinen si “el memorando de entendimiento de canje establece una permuta de similar superficie de tierra, siendo las que recibe el Municipio de Villa La Angostura ser más aptas y favorables para el desarrollo de las urbanizaciones donde se realizaran los loteos sociales” según lo establece el párrafo 8, de los considerandos, de la Ordenanza 2830/14.

3 OBJETOS DE ESTUDIO

El objeto de dicho informe está relacionada con el canje de tierras entre los fideicomisos Nuevo Golf de la Angostura, Nuevos Campos de Angostura y la Municipalidad de Villa la Angostura representada por el Intendente Profesor Roberto Cacault, en la cual, cada parte, ofrece las siguientes tierra:

Por parte de la Municipalidad de Villa la Angostura:

I.          Lote Nomenclatura Catastral: 162006971580000, REMANENTE LOTE 1L PARTE DEL LOTE 1B LOTE PASTORIL 11. Superficie: 151.489,86 m2

II.          Lote Nomenclatura Catastral: 162006960370000, LOTE 1Z PTE. DEL LOTE PASTORIL 11RESERVA MUNICIPAL (MATADERO). Superficie: 9.895,99 m2.

III.          Manzanas designadas con las letras “A” y “B”, sobre plano de mensura con distribución parcelaria. Según catastro provincial, Manzana “A” constituida por los lotes con datos catastrales, según Anexo 2.Superficie: 11.446,09 m2. Manzana “B” constituida por los lotes con datos catastrales, según anexo 2. Superficie: 18.570,97 m2.

IV.          No se encuentra contemplado para el cómputo de superficie las áreas destinadas a la intervención vial (calles). Se entiende que la misma ya se encuentra cedida al Municipio de Villa la Angostura.

TOTAL DE SUPERFICIE COMPUTADA: 191.402,91 m2

Por parte de los fideicomisos Nuevo Golf de la Angostura, Nuevos Campos de Angostura:

I.          Lote, sin nomenclatura catastral, denominado B1-c1, según mensura con distribución parcelaria. Superficie: 35.581,47 m2.

II.          Lote, sin nomenclatura catastral, denominado B1-c2, según mensura con distribución parcelaria. Superficie: 33.781,14 m2.

III.          Lote, sin nomenclatura catastral, denominado B1-c3, según mensura con distribución parcelaria. Superficie: 4306,20 m2.

IV.          Lote, sin nomenclatura catastral, denominado B1-g2, según mensura con distribución parcelaria. Superficie: 45.657,26 m2

V.          Lote, sin nomenclatura catastral, denominado B1-h2, según mensura con distribución parcelaria. Superficie: 17.964,66 m2

VI.          Lote, sin nomenclatura catastral, denominado B1-h3, según mensura con distribución parcelaria. Superficie: 8.315,91 m2

VII.          Lote, sin nomenclatura catastral, denominado B1-ia, según mensura con distribución parcelaria. Superficie: 51.128,43 m2


VIII.          Lote, sin nomenclatura catastral, denominado B1-i3, según mensura con distribución parcelaria. Superficie: 17.404,00 m2

TOTAL DE SUPERFICIE COMPUTADA: 214409,07 m2

Sobre las superficies o áreas permutables por las partes, se puede determinar que hay una diferencia a favor de la Municipalidad de Villa la Angostura de 23.006,16 m2.

Si se utiliza la agrimensura realizada por el Agrimensor Rodolfo Bernardo Domínguez, donde se crea el parque industrial (Anexo 4), la superficie total del Lote “L1” es 197.113,92m2 (sin calles conformadas) y sumándole el Lote “1Z” (matadero municipal) de superficie 9.895,99 m2, constituyendo un total de superficie de 207.009,91m2. De esta manera, se determina que la diferencia a favor del municipio de Villa la Angostura es 7399,16 m2.

4 ASPECTOS GENERALES

Sobre la propuesta de canje se requiere determinar si los lotes ofrecidos por el Municipio de Villa la Angostura como por los fideicomisos Nuevo Golf de la Angostura, Nuevos Campos de Angostura son aptos y favorables para loteo social.

Para ello, se contemplaran aspectos como ubicación, áreas verdes, drenajes, características generales, edificaciones existentes, suelos y pavimentos, ríos y causes, impacto ambiental, pendientes, movimiento de suelos, servicios de infraestructura y características contempladas en el Código de Planeamiento Urbano de Villa la Angostura.

A los efectos de una mejor interpretación, dichos aspectos se ubicarán en el siguiente orden en cada Lote a analizar con las siguientes características:

Ubicación: Aproximación a otros sectores. Accesos por calles.
Código de Planeamiento Urbano: Zonificación. Densidad. Franja de restricción constructiva. Suelo no Urbanizables.
Ríos y causes: Identificación. Perímetro aproximado. Protección sobre los causes de los cursos de agua.
Áreas verdes y vegetación: descripción de la vegetación.
Edificaciones existentes: Descripción de las edificaciones.
Servicios e infraestructura: Determinar si existen servicios dentro de los Lotes.
Pendientes y movimiento de suelo: Determinar diferentes grados de pendientes, enfatizando las utilizables para urbanizar. Conceptualización del movimiento requerido.
Drenajes:

5 ASPECTOS PARTICULARES
A continuación se detallan los aspectos de cada lote, según su identificación en el aparatado 3 del presente informe técnico:

5.1  Lote denominado B1-c1, B1-c2 y B1-c3

Ubicación:

a)     Lado este del Lote B1. Limita hacia el norte con el Lote denominado B1-a, al este por el arroyo las Piedritas y al sur por la continuación del arroyo Las Piedritas. No posee acceso por calles consolidadas por el municipio.

b)      Para acceder al mismo se debe atravesar la comunidad mapuche “Cacique Antriao”, tierras que se encuentran en conflicto.

c)     Superficie Total: 71668,81 m2

Código de Planeamiento Urbano:

a)     El Lote se encuentra ubicado en la zonificación denominada N (Alto Piedritas).

b)     La densidad máxima permitida es de 13 m2 por persona, tomando como referencia los metros cuadrados de construcción que permite el FOT actual máximo de cada área, según artículo 12.5 Densidad de la Ordenanza 2659/12 - “Código de Planeamiento Urbano de Villa la Angostura”.

c)     Franja de restricción constructiva: Según Artículo 5.2.2 inciso a) “15 metros de ancho hacia cada margen a partir de la línea de ribera, para cursos de agua de primera magnitud, considerándose a los siguientes cursos de agua: Arroyo Las Piedritas, El Colorado y La Estacada”.

Ríos y Causes:

a)     Perímetro aproximado de borde de arroyo Las Piedritas: 743,70ml

b)     Superficie de protección de causes: 11.155,50m2

Áreas verdes y vegetación:

a)     Se observa vegetación frondosa de especies arbóreas tipo coihue. En inspección ocular, no se observó un soto-monte frondoso o espeso.

Edificaciones existentes:

a)     Se observa la construcción de viviendas realizadas por la comunidad mapuche, que ocupan parte del Lote propuesto por los Fideicomisos.

Servicios e infraestructura:

a)     Instalación eléctrica: No posee

b)     Instalación de agua potable: No posee

c)     Instalación cloacal: No posee

d)     Instalación de gas: No posee.

La siguiente información se desprende de las necesidades básicas insatisfechas de los pobladores de la comunidad. Los lotes linderos tampoco poseen servicios.

Pendientes: El Lote posee pendientes mayores o iguales a 10°-15° en su mayoría hasta áreas con pendientes iguales o mayores a 15-25°.

5.2  Lote denominado B1-g2

Ubicación:

a)     Lado sur- este del Lote B1. Limita hacia el norte y al este con el Lote denominado B1-g1 y al sur por la calle Colihue.

b)     Superficie Total: 45.657,26 m2

Código de Planeamiento Urbano:

a)     El Lote se encuentra ubicado en la zonificación denominada N (Alto Piedritas).

b)     La densidad máxima permitida es de 13 m2 por persona, tomando como referencia los metros cuadrados de construcción que permite el FOT actual máximo de cada área, según artículo 12.5 Densidad de la Ordenanza 2659/12 - “Código de Planeamiento Urbano de Villa la Angostura”.

Ríos y Causes:

No posee.

Áreas verdes y vegetación:

Se observa vegetación frondosa de especies arbóreas tipo coihue. En inspección ocular, no se observó un soto-monte frondoso o espeso.

Edificaciones existentes:

No se observa.

Servicios e infraestructura:

Por encontrarse contigua a áreas urbanizadas, se podría acceder a los mismos servicios. Se deberá solicitar factibilidad técnica a cada empresa prestadora de servicios para que se verifique si la infraestructura instalada permite conectar 185 viviendas según planos de prototipos de macrolotes.

Pendientes: El Lote posee pendientes mayores o iguales a 10°-15° en su mayoría hasta áreas con pendientes iguales o mayores a 15-25°. Se puede observar zonas con pendientes mayores a 25-30°.


Proyecto: Sobre proyecto presentado denominado “Macrolote 1”, se determina la relación Sup. Total lotes / Cant. de lotes = 45.657,26 m2 / 186 lotes = 245, 46 m2/lote. Sobre la proyección del municipio de lotes de 130,00m2, se determina que el 53% del terreno corresponde a lotes y el 47% corresponde a circulación vial, espacio verde y reserva fiscal.

5.3  Lote denominado B1-h2

Ubicación:

a)     Limita al oeste con el arroyo Las Piedritas, al norte con el Lote B1-h, al este con los lotes 1E, 138 y reserva fiscal. Al sur con el arroyo colorado.

b)     Superficie Total: 17.964,66 m2

Código de Planeamiento Urbano:

c)     El Lote se encuentra ubicado en la zonificación denominada N (Alto Piedritas).

d)     La densidad máxima permitida es de 13 m2 por persona, tomando como referencia los metros cuadrados de construcción que permite el FOT actual máximo de cada área, según artículo 12.5 Densidad de la Ordenanza 2659/12 - “Código de Planeamiento Urbano de Villa la Angostura”.

Ríos y Causes:

a)     Perímetro aproximado de borde de los arroyos Las Piedritas y Colorado: 306,18ml

b)     Superficie de protección de causes: 4.592,70m2

Áreas verdes y vegetación:

Se observa vegetación frondosa de especies arbóreas tipo coihue. En inspección ocular, no se observó un soto-monte frondoso o espeso.

Edificaciones existentes:

No se observa sobre el lote en cuestión. Si se observa edificación sobre la reserva fiscal, la cual serviría para el ingreso al Lote desde la calle Los Araucanos.

Servicios e infraestructura:

Por encontrarse contigua a áreas urbanizadas, se podría acceder a los mismos servicios. Se deberá solicitar factibilidad técnica a cada empresa prestadora de servicios para que se verifique si la infraestructura instalada permite conectar 63 viviendas según planos de prototipos de macrolotes.

Pendientes: El Lote posee pendientes mayores o iguales a 5°-9° en su mayoría hasta áreas con pendientes iguales o mayores a 10-15°


Proyecto: Sobre proyecto presentado denominado “Macrolote 2”, se determina la relación Sup. Total lotes / Cant. de lotes = 17.964,66 m2 / 63 lotes = 285, 15 m2/lote. Sobre la proyección del municipio de lotes de 130,00m2, se determina que el 46% del terreno corresponde a lotes y el 54% corresponde a circulación vial y espacio verde.

5.4  Lote denominado B1-h3 y B1-i2

Ubicación:

a)     Limita al oeste con parcela nomenclatura catastral 16-20-071-9739, al norte con el Lote B1-h1, al este con el arroyo colorado y al sur con la calle.

b)     Superficie Total: 12.025,73 m2

Código de Planeamiento Urbano:

a)     El Lote se encuentra ubicado en la zonificación denominada N (Alto Piedritas).

b)     La densidad máxima permitida es de 13 m2 por persona, tomando como referencia los metros cuadrados de construcción que permite el FOT actual máximo de cada área, según artículo 12.5 Densidad de la Ordenanza 2659/12 - “Código de Planeamiento Urbano de Villa la Angostura”.

Ríos y Causes:

a)     Perímetro aproximado de borde del arroyo Colorado: 216,07ml

b)     Superficie de protección de causes: 3.241,05m2

Áreas verdes y vegetación:

a)     Se observa vegetación frondosa de especies arbóreas tipo coihue. En inspección ocular, no se observó un soto-monte frondoso o espeso.

Edificaciones existentes:

a)     No se observa.

Servicios e infraestructura:

Por encontrarse contigua a áreas urbanizadas, se podría acceder a los mismos servicios. Se deberá solicitar factibilidad técnica a cada empresa prestadora de servicios para que se verifique si la infraestructura instalada permite conectar 25 viviendas según planos de prototipos de macrolotes.

Pendientes: El Lote posee pendientes mayores o iguales a 10°-15° en su mayoría hasta áreas con pendientes iguales o mayores a 15-25°.


Proyecto: Sobre proyecto presentado denominado “Macrolote 3 y 4”, se determina la relación Sup. Total lotes / Cant. de lotes = 12.025,73 m2 / 25 lotes = 481,02 m2/lote. Sobre la proyección del municipio de lotes de 130,00m2, se determina que el 27% del terreno corresponde a lotes y el 73% corresponde a circulación vial, espacio verde y reserva fiscal.

 

5.5  Lote denominado B1-ia

Ubicación:

a)     Limita hacia el norte con el Lote denominado F2, al este por la ruta de circunvalación, al sur con el Lote B1-i3 y al oeste por el arroyo El Colorado.

b)      No tiene acceso por ninguna calle, salvo que se ejecute la circunvalación.

c)     Superficie Total: 51.128,43 m2

Código de Planeamiento Urbano:

a)     El Lote se encuentra ubicado en la zonificación denominada N (Alto Piedritas).

b)     La densidad máxima permitida es de 13 m2 por persona, tomando como referencia los metros cuadrados de construcción que permite el FOT actual máximo de cada área, según artículo 12.5 Densidad de la Ordenanza 2659/12 - “Código de Planeamiento Urbano de Villa la Angostura”.

c)     Franja de restricción constructiva: Según Artículo 5.2.2 inciso a) “15 metros de ancho hacia cada margen a partir de la línea de ribera, para cursos de agua de primera magnitud, considerándose a los siguientes cursos de agua: Arroyo Las Piedritas, El Colorado y La Estacada”.

Ríos y Causes:

a)     Perímetro aproximado de borde de arroyo Colorado: 562,62ml

b)     Superficie de protección de causes: 8439.30m2

Áreas verdes y vegetación:

Se observa vegetación frondosa de especies arbóreas tipo coihue. En inspección ocular, no se observó un soto-monte frondoso o espeso.

Edificaciones existentes:

No se observa.

Servicios e infraestructura:

a)     Instalación eléctrica: No posee

b)     Instalación de agua potable: No posee

c)     Instalación cloacal: No posee

d)     Instalación de gas: No posee.

Pendientes: El Lote posee pendientes mayores o iguales a 10°-15° en su mayoría hasta áreas con pendientes iguales o mayores a 15-25°.


Proyecto: No posee.

5.6  Lote denominado B1-i3

Ubicación:

a)     Limita hacia el norte con el Lote B1-ia, al este por la ruta de circunvalación, al sur con la calle Huemul y al oeste por el Lote B1-i2 y el arroyo Colorado.

b)      Tiene acceso por calle sin nombre y por la circunvalación, cuando se ejecute.

c)     Superficie Total: 17.404,00 m2

Código de Planeamiento Urbano:

a)     El Lote se encuentra ubicado en la zonificación denominada N (Alto Piedritas).

b)     La densidad máxima permitida es de 13 m2 por persona, tomando como referencia los metros cuadrados de construcción que permite el FOT actual máximo de cada área, según artículo 12.5 Densidad de la Ordenanza 2659/12 - “Código de Planeamiento Urbano de Villa la Angostura”.

c)     Franja de restricción constructiva: Según Artículo 5.2.2 inciso a) “15 metros de ancho hacia cada margen a partir de la línea de ribera, para cursos de agua de primera magnitud, considerándose a los siguientes cursos de agua: Arroyo Las Piedritas, El Colorado y La Estacada”.

Ríos y Causes:

a)     Perímetro aproximado de borde de arroyo Las Piedritas: 48,24ml

b)     Superficie de protección de causes: 723,60m2

Áreas verdes y vegetación:

Se observa vegetación frondosa de especies arbóreas tipo coihue. En inspección ocular, no se observó un soto-monte frondoso o espeso.

Edificaciones existentes:

No se observa.

Servicios e infraestructura:

Por encontrarse contigua a áreas urbanizadas, se podría acceder a los mismos servicios. Se deberá solicitar factibilidad técnica a cada empresa prestadora de servicios.

Pendientes: El Lote posee pendientes mayores o iguales a 10°-15° en su mayoría hasta áreas con pendientes iguales o mayores a 15-25°.


Proyecto: No posee.

5.7  Lote denominado Parque Industrian – NC: 16-20-069-7158-0000

Ubicación:

a)     Limita hacia el norte y oeste con el Lote B1-d, al este por el Lote 16-RR-025-5372, al sur por la ruta de circunvalación y el Lote A1.

b)      Tiene acceso por calle por la circunvalación cuando se ejecute y por “servidumbre real de tránsito a través de camino de servicio de un ancho de 12 metros a favor de los Lotes b1-a, B1-b, B1-c1, B1-c2 y B1-c3. Asimismo estos reconocen recíprocamente servidumbre reales de tránsito entre si” según mensura.

c)     Superficie Total: 197.113,92m2

Código de Planeamiento Urbano:

a)     El Lote se encuentra ubicado en la zonificación denominada M (Parque Industrial).

b)     La densidad máxima permitida es de 13 m2 por persona, tomando como referencia los metros cuadrados de construcción que permite el FOT actual máximo de cada área, según artículo 12.5 Densidad de la Ordenanza 2659/12 - “Código de Planeamiento Urbano de Villa la Angostura”.

c)     Franja de restricción constructiva: Según Artículo 5.2.2 inciso a) “15 metros de ancho hacia cada margen a partir de la línea de ribera, para cursos de agua de primera magnitud, considerándose a los siguientes cursos de agua: Arroyo Las Piedritas, El Colorado y La Estacada”.

Ríos y Causes:

a)     Perímetro aproximado de borde de arroyo Colorado, ambos márgenes: 568,04ml

b)     Superficie de protección de causes: 8520.60m2

Áreas verdes y vegetación:

Se observa vegetación frondosa de especies arbóreas tipo coihue sobre el perímetro oeste y norte sobre el área de la margen este del arroyo Colorado. En inspección ocular, no se observó un soto-monte frondoso o espeso.

Edificaciones existentes:

Se observa construcciones existentes pertenecientes a la empresa Conevial, una planta de residuos cloacales y una vivienda y piletas correspondientes al bombeo del arroyo Colorado.

Servicios e infraestructura:

a)     Instalación eléctrica: Posee

b)     Instalación de agua potable: Posee

c)     Instalación cloacal: No posee

d)     Instalación de gas: No posee

Se debe solicitar a las empresas distribuidores de los servicios, factibilidad técnica para la conexión de 410 viviendas:

Pendientes: La mayor parte del lote posee pendientes mayores o iguales a 10°-15°, áreas con pendientes iguales o mayores a 5-9° y sobre la margen este del arroyo Colorado, áreas con pendientes iguales o mayores a 15-25°.


Proyecto: Sobre proyecto presentado, se determina la relación Sup. Total lotes / Cant. de lotes = 188.593,32m2/ 410 lotes = 459,98 m2/lote. Sobre la proyección del municipio de lotes de 300,00m2, se determina que el 65% del terreno corresponde a lotes y el 35% corresponde a circulación vial, espacio verde y reserva fiscal.

5.8  Lote denominado Matadero Municipal 1Z – NC: 16-20-069-6037-0000

Ubicación:

a)     Limita hacia el norte con la ruta de circunvalación, al oeste y al sur por el Lote F2-h y al este por el arroyo Colorado.

b)      Tiene acceso por calle por la circunvalación cuando se ejecute y por “servidumbre real de tránsito a través de camino de servicio de un ancho de 12 metros a favor de los Lotes b1-a, B1-b, B1-c1, B1-c2 y B1-c3. Asimismo estos reconocen recíprocamente servidumbre reales de tránsito entre sí” según mensura.

c)     Superficie Total: 9.895,99m2

Código de Planeamiento Urbano:

a)     El Lote se encuentra ubicado en la zonificación denominada M (Parque Industrial).

b)     La densidad máxima permitida es de 13 m2 por persona, tomando como referencia los metros cuadrados de construcción que permite el FOT actual máximo de cada área, según artículo 12.5 Densidad de la Ordenanza 2659/12 - “Código de Planeamiento Urbano de Villa la Angostura”.

c)     Franja de restricción constructiva: Según Artículo 5.2.2 inciso a) “15 metros de ancho hacia cada margen a partir de la línea de ribera, para cursos de agua de primera magnitud, considerándose a los siguientes cursos de agua: Arroyo Las Piedritas, El Colorado y La Estacada”.

Ríos y Causes:

a)     Perímetro aproximado de borde de arroyo Colorado: 95,37ml

b)     Superficie de protección de causes: 1430.55m2

Áreas verdes y vegetación:

Se observa vegetación poco frondosa de especies arbóreas tipo coihue.

Edificaciones existentes:

Se observa tres construcciones existentes pertenecientes al Municipio de Villa la Angostura.

Servicios e infraestructura:

a)     Instalación eléctrica: Posee

b)     Instalación de agua potable: Posee||

c)     Instalación cloacal: No posee

d)     Instalación de gas: No posee

Se debe solicitar a las empresas distribuidores de los servicios, factibilidad técnica para la conexión de 20 viviendas

Pendientes: La mayor parte del lote posee pendientes mayores o iguales a 5-9°, áreas con pendientes iguales o mayores a 10-15°.


Proyecto: Sobre proyecto presentado, se determina la relación Sup. Total lotes / Cant. de lotes = 9.895,99m2/ 20 lotes = 494.80 m2/lote. Sobre la proyección del municipio de lotes de 300,00m2, se determina que el 61% del terreno corresponde a lotes y el 39% corresponde a circulación vial, espacio verde y reserva fiscal.

6 CONCLUSIONES
Las referencias descriptas en los apartados anteriores permiten comparar cada Lote propuesto por las partes, desde sus particularidades, como así también entre ellos. Para tal motivo, y sin generar un juicio de valor sobre el convenio de permuta, se realiza la siguiente tabla con los resultados obtenidos de cada uno de los Lotes.

 

Beneficiarios realizaron estudio comparativo de las tierras del canje y un proyecto de loteo en el Parque Industrial