“Era muy necesario contar con nueva infraestructura educativa”, afirmó el Vicepresiente del CPE, Omar Lara
Vecinos del Barrio El Once presentan una oposición formal para preservar el espacio verde del predio del CEF
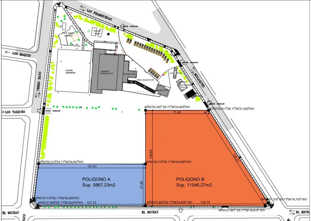
Revés judicial para vecinos que buscaban una Cautelar para frenar las obras de escuelas en el predio del CEF
Vecinos cuestionan al Concejo por rechazar las 465 firmas que apoyan conservar como "Espacio verde" el predio del CEF N°7
“Cuando el gobierno permite privilegios a favor de unos en detrimento de otros se llama discrecionalidad”
Defensa del Espacio Verde: El archivo que, según el Ejecutivo, contradice lo que hoy reclama Gordillo
Vénica respondió a Gordillo y explicó porqué el terreno del CEF Nº 7 es una reserva fiscal y no un espacio verde
1 “Una vuelta, y seguimos”: espectacular maniobra de Martinez en el Rally Argentino (Imperdible video)
2 Abren la convocatoria para cubrir el cargo de profesor/a de percusión en la Orquesta Escuela Municipal
4 Ruta de Circunvalación: la obra sigue paralizada, Provincia espera que Nación la ceda para terminarla, pero no hay confirmaciones